Current Snapshot
For all the latest updates visit: DisasterAWARE
By PDC’s Senior Weather
Specialist Glenn James
The Pacific Disaster Center’s (PDC Global) Wednesday, October 29, 2025, Tropical Cyclone Activity Report…for the Atlantic Ocean, the Caribbean Sea, and the Gulf of America
Current Tropical Cyclones:
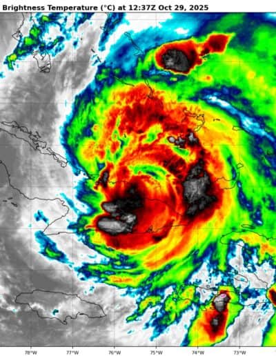
Tropical Cyclone Melissa…is located about 45 miles northwest of Guantanamo, Cuba
Atlantic Ocean: There are no active tropical cyclones
Caribbean Sea:
Tropical Cyclone Melissa
MELISSA CONTINUES TO MOVE OVER EASTERN CUBA AND WILL SOON EMERGE INTO THE SOUTHWESTERN ATLANTIC, BRINGING DAMAGING WINDS, FLOODING RAINS, AND DANGEROUS STORM SURGE TO CUBA AND THE BAHAMAS TODAY
According to the NHC advisory number 32A
Melissa is moving toward the north-northeast near 14 mph (22 km/h). A faster northeastward motion is expected during the next few days. On the forecast track, the core of Melissa is expected to move offshore of Eastern Cuba this morning, move across the southeastern or central Bahamas later today, and pass near or to the west of Bermuda late Thursday and Thursday night.
Maximum sustained winds are now near 105 mph (165 km/h) with higher gusts. Melissa is expected to remain a powerful hurricane when it moves across the Bahamas later today and passes near Bermuda on Thursday night.
Hurricane-force winds extend outward up to 30 miles (45 km) from the center and tropical-storm-force winds extend outward up to 185 miles (295 km). The estimated minimum central pressure is 968 mb (28.59 inches).
HAZARDS AFFECTING LAND
WIND: Hurricane conditions are occurring within the warning area in Cuba. Tropical storm conditions are expected in Haiti today.
Hurricane conditions are expected in the southeastern and central Bahamas today. Tropical storm conditions are expected in the Turks and Caicos Islands today.
Hurricane conditions are possible on Bermuda late Thursday and Thursday night.
RAINFALL: Melissa is expected to bring an additional 3 to 6 inches across Jamaica, where storm total amounts will be between 12 to 24 inches. Isolated areas near 30 inches will be possible over mountainous terrain. Ongoing catastrophic flash flooding and numerous landslides will continue today and into tonight.
For eastern Cuba, storm total rainfall of 10 to 20 inches are expected through today with local amounts to 25 inches expected over mountainous terrain. This will cause life-threatening and potentially catastrophic flash flooding with numerous landslides.
Over the Southeastern Bahamas, storm total rainfall of 5 to 10 inches are expected today, which will result in areas of flash flooding. For the Turks and Caicos, rainfall totals of 1 to 3 inches are expected. Heavy rain may begin to affect Bermuda on Thursday or Thursday night.
Over southern Hispaniola, additional rainfall of 2 to 6 inches are expected today, with storm total local maxima of 40 inches possible.
SURF: Swells generated by Melissa will continue to affect portions of Hispaniola, Jamaica, eastern Cuba, and the Cayman Islands during the next day or so, causing life-threatening surf and rip current conditions. These swells are beginning to reach the Bahamas and the Turks and Caicos Islands, and will spread toward Bermuda later this week.
STORM SURGE: Storm surge of 5 to 8 ft above normally dry ground is possible in the southeastern Bahamas today, and minor coastal flooding is possible in the Turks and Caicos Islands today. Minor coastal flooding is possible in bays and inlets along the north coast of eastern Cuba and minor coastal flooding is expected along the coast of Haiti.
There is a potential for significant storm surge along the southeast coast of Cuba late today or Wednesday. Peak storm surge heights could reach 7 to 11 feet above normal tide levels, near and to the east of where the center of Melissa makes landfall. This storm surge will be accompanied by large and destructive waves.
Storm surge of 4 to 6 ft above normally dry ground is possible in the southeastern Bahamas and Turks and Caicos Islands on Wednesday.
Gulf of America: There are no active tropical cyclones
Tropical cyclone formation is not expected during the next 7-days.
